Colorado Springs Airport

City of Colorado Springs Municipal Airport
Summary
Airport typePublic / military
Owner/OperatorCity of Colorado Springs
ServesColorado Springs, Colorado
Elevation AMSL6,187 ft / 1,886 m
Coordinates38°48′21″N 104°42′03″W / 38.80583°N 104.70083°W / 38.80583; -104.70083
Websitewww.flycos.com
Maps
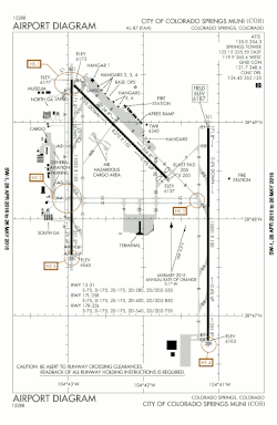
FAA airport diagram
FAA airport diagram
Runways
Direction Length Surface
ft m
17L/35R 13,500 4,115 Concrete
17R/35L 11,022 3,360 Asphalt
13/31 8,270 2,521 Asphalt
Statistics (2024)
Total passengers2,473,099
Aircraft operations166,109
Sources: Colorado Springs Airport[1]

City of Colorado Springs Municipal Airport (IATA: COS, ICAO: KCOS, FAA LID: COS), simply known as Colorado Springs Airport, is a city-owned public civil-military airport 6 miles (9.7 km) southeast of downtown Colorado Springs, in El Paso County, Colorado, United States.[2] It is the second busiest commercial service airport in the state after Denver International Airport. Peterson Space Force Base, which is located on the north side of runway 13/31, is a tenant of the airport.

History

Busy morning ramp

In 1927 the airport opened on 640 acres (260 ha) 7 miles (11 km) east of the city, with two gravel runways. For the first ten years several small airlines operated a mail route from Cheyenne, Wyoming, to Pueblo, Colorado, with stops at Denver and Colorado Springs. These airlines only occasionally carried passengers. In 1937, Continental Airlines began service between Denver and El Paso, Texas, with stops at Colorado Springs, Pueblo, Las Vegas, New Mexico, Santa Fe, and Albuquerque. In 1943 Braniff Airways began service on a Denver-Colorado Springs-Pueblo-Amarillo route. At Amarillo, flights would continue onto Dallas and Houston or onto Oklahoma City, Tulsa, Little Rock, and Memphis. The first municipal terminal was built in 1942 in an art deco style. Soon after the terminal was built the field was taken over by the military in the months preceding World War II. After the war, the city regained control.

In 1966 a new terminal was built on the west side of the runways, just east of Powers Boulevard. This terminal expanded by the 1980s, with a six gate addition. By 1991 the airport had three 150-foot (46 m) wide runways, one 13,501 feet (4,115 m) long, making it the longest runway in Colorado until 16R/34L, a 16,000-foot (4,900 m) runway, opened at Denver International Airport in September 2003. In 1991 the city approved a new terminal, two miles east of the former terminal, in the south-center part of the airport. The 280,000-square-foot (26,000 m2) terminal opened on October 22, 1994 with 12 gates; it was designed by the Van Sant Group and cost $140 million. In the 1990s a second, five-gate concourse was added on the east side of the main terminal.

In 1996, the 1941 passenger terminal, two hangars, and a caretaker residence — by that time all located on Peterson Air Force Base — were inscribed on the National Register of Historic Places. They form the campus of the Peterson Air and Space Museum.[3][4]

From the 1980s to the present day, the airport has tried to expand service. The largest number of passengers was nearly 5 million in 1996 when now-defunct Western Pacific Airlines had a hub at COS (Western Pacific moved the hub to Denver International Airport in late 1996). Their timetable for 15 June shows 33 daily departures to 20 airports between the west coast and Newark and Washington Dulles. Frontier Airlines added and dropped various routes from Colorado Springs throughout the 2010s.[5] Southwest Airlines announced in October 2020 that they would begin serving the airport in 2021.[6] Southwest conducted their first flights in March 2021,[7] which has since bolstered the airport's commercial traffic.[8]

In May 2021, the airport began a pavement rehabilitation project, closing runway 17R/35L for remodeling. The upgrades include new asphalt, lighting, and navigation equipment.[9] The airport announced in November 2021 that the main concourse (gates 1–12) will undergo a $10–$20 million renovation and will be completed in 3 to 5 years.[10] The concourse was completed in 1994 and has not been renovated since then. The design has become outdated, prompting airport officials to renovate. On March 1, officials announced that COS will receive a $6 million grant to complete the planned renovation. Construction will start in the summer of 2023.[11][12]

In March 2022, the Colorado Springs Airport released a plan to expand the airport, with plans to double the number of gates from 12 to 24, relocate the control tower, and consolidate other airport services.[13]

In 2024, because of its high elevation, it was used by Boeing for high altitude tests.

Facilities

The airport covers 7,200 acres (29 km2) and has three paved runways: 17L/35R, 13,500 ft × 150 ft (4,115 m × 46 m) long, 17R/35L, 11,022 ft × 150 ft (3,360 m × 46 m) and 13/31, 8,270 ft × 150 ft (2,521 m × 46 m).[2][14]

Location and access

The airport is located on the east side of Colorado Springs, accessible by Milton E. Proby Parkway via Powers Boulevard/SH 21. Milton E. Proby Parkway loops through the airport running north to the terminal, with exits to long and short term parking and rental car return, and eventually splits into an upper departures drop-off area and lower arrivals pick-up area east of the terminal. The road converges again on the west side of the terminal and runs south, joined by access roads, parking lot exits, and rental car exits. There is also an exit to return to the terminal via the northbound airport entrance.

Milton E. Proby Parkway also provides access to other airport facilities and tenants, including a Northrop Grumman building and an Amazon distribution center via Peak Innovation Parkway.

Powers Boulevard/SH 21, a primary expressway in El Paso County, runs west of the airport and provides easy access to general and private aviation hangars, maintenance facilities (including the SkyWest hangar), and FBOs (Cutter Aviation, jetCenter, and the J.H.W. Hangar Complex).[15] The expressway also provides north-south access to the Colorado Springs and Falcon (via Highway 24) region.

Terminal and gate information

Colorado Springs Airport has one terminal with two concourses. However, only one, the larger concourse housing gates 1–12, has ever been put to commercial use; the second concourse (called the Western Pacific Airlines concourse) contains gates 14–18 (there is no gate 13) and is now mainly used for meetings. Access between the concourses requires leaving the secure area, walking through the main terminal and down a long hallway. There is no public access to these gates. The gates were previously planned to be demolished. However, with the beginning of flights to Cancun, the area has been renovated to serve as an international arrivals inspection facility. [16]

Transportation

Shuttles and buses

The airport is serviced by Colorado Springs' public transportation system, Mountain Metropolitan Transit. Service from private transportation, such as Groome Transportation, is also available.[17]

Rental vehicles

Alamo, Avis, Budget, Dollar, Enterprise, Hertz, and National Car Rental provide on-airport car rentals. The rental car check in counters are located on the lower level outside of the secured area, across from baggage claim.[18]

Airlines and destinations

Passenger

AirlinesDestinationsRefs
Allegiant Air Phoenix/Mesa,[19] Orange County,[19] St. Petersburg/Clearwater[19] [20]
American Airlines Dallas/Fort Worth [21]
American Eagle Chicago–O'Hare,[22] Dallas/Fort Worth [21]
Delta Air Lines Atlanta
Seasonal: Minneapolis/St. Paul[23]
[24]
Delta Connection Salt Lake City [25]
Southwest Airlines Baltimore, Chicago–Midway, Dallas–Love, Denver, Las Vegas, Phoenix–Sky Harbor
Seasonal: Cancún,[26] Houston–Hobby, San Antonio, San Diego
[27]
United Airlines Denver
Seasonal: Chicago–O'Hare
[28]
United Express Chicago–O'Hare, Denver, Houston–Intercontinental

Cargo

AirlinesDestinationsRefs
FedEx Express Grand Junction, Memphis, Ontario, San Bernardino

Statistics

Annual traffic

Annual passenger traffic at COS airport. See Wikidata query.

Annual traffic at COS

COS annual traffic, 2017–present[29]
Year Passengers % change
2017 1,674,947
2018 1,725,037 Increase3.0%
2019 1,671,757 Decrease3.1%
2020 727,742 Decrease56.5%
2021 1,864,485 Increase11.5%
2022 2,134,618 Increase14.5%
2023 2,347,008 Increase9.9%
2024 2,473,099 Increase5.4%

Top destinations

Busiest domestic routes from COS
(September 2023 - August 2024)
[30]
Rank City Passengers Carriers
1 Colorado Denver, Colorado 398,000 Southwest, United
2 Texas Dallas/Fort Worth, Texas 209,000 American
3 Nevada Las Vegas, Nevada 120,000 Southwest
4 Texas Dallas–Love, Texas 119,000 Southwest
4 Arizona Phoenix–Sky Harbor, Arizona 119,000 Southwest
6 Georgia (U.S. state) Atlanta, Georgia 57,000 Delta
7 Illinois Chicago–Midway, Illinois 54,000 Southwest
8 Illinois Chicago–O'Hare, Illinois 48,000 United
9 Texas Houston–Intercontinental, Texas 36,000 United
10 California Long Beach, California 28,000 Southwest

Airline market share

Largest airlines at COS
(September 2023 - August 2024)
[31]
Rank Airline Passengers Share
1 Southwest Airlines 1,270,000 50.30%
2 SkyWest Airlines 497,000 19.67%
3 American Airlines 309,000 12.24%
4 United Airlines 203,000 8.06%
5 Delta Airlines 139,000 5.52%
Other Airlines 107,000 4.22%

Accidents and incidents

  • On March 3, 1991, United Airlines Flight 585, a Boeing 737-291 flying from Peoria, Illinois, to Colorado Springs via Denver, crashed on final approach to Colorado Springs Runway 35 after a rudder malfunction caused the aircraft to roll over and dive, killing all 25 on board.
  • On December 21, 1997, a Beechcraft King Air operated by Aviation Charter flying in from Minneapolis St. Paul International Airport impacted terrain at Colorado Springs Airport in fog during a missed instrument landing system (ILS) approach. Both passengers on board were Northwest Airlines mechanics being flown in to repair a Northwest Airlines aircraft at COS. The pilot and one passenger were killed; the other passenger sustained serious injuries.[32]
  • On April 16, 2018, a fire broke out on the airport's roof. There were no casualties, but the event resulted in the airport being closed for a single day.[33]
  • On April 15, 2021, a Learjet 35A operated by Med Air Inc suffered substantial damage on landing at COS because of the flight crew's improper decision to continue the unstabilized approach, which resulted in an aerodynamic stall and impact with the runway during landing. All 4 occupants survived, but the right wing suffered major damage and the aircraft was written off.[34]

See also

References

  1. ^ "Colorado Springs Airport Data for 2024" (PDF). coloradosprings.gov. Retrieved March 13, 2025.
  2. ^ a b FAA Airport Form 5010 for COS PDF, effective May 15, 2025.
  3. ^ Mehls, Steven F. (March 1, 1996), National Register of Historic Places Registration Form: Original Colorado Springs Municipal Airport (PDF), retrieved February 21, 2018.
  4. ^ National Park Service (November 22, 1996), Weekly List of Actions Taken on Properties: 11/11/96 through 11/15/96 (PDF), archived from the original on May 26, 2017, retrieved February 21, 2018.
  5. ^ "Frontier cancels seasonal flights out of the Colorado Springs Airport". January 8, 2020.
  6. ^ "Southwest Airlines Announces Initial Flight Schedules For Chicago O'Hare And Colorado Springs" (Press release).
  7. ^ Villanueva, Mia (2021-03-11). "Southwest Airlines touches down at the Colorado Springs Airport". KRDO. Retrieved 2021-08-02.
  8. ^ jessica.vandyne@gazette.com, Jessica Van Dyne. "Colorado Springs Airport sees highest traffic in 22 years". Colorado Springs Gazette. Retrieved 2023-03-08.
  9. ^ "Airfield Construction Projects". Colorado Springs. 2015-10-09. Retrieved 2021-08-02.
  10. ^ Heilman, Wayne. "Colorado Springs Airport planning major terminal renovation". Colorado Springs Gazette. Retrieved 2022-03-22.
  11. ^ "Airport receives $6 million grant for concourse remodel". Colorado Springs. 2023-03-01. Retrieved 2023-03-08.
  12. ^ jessica.vandyne@gazette.com, Jessica Van Dyne. "Colorado Springs Airport awarded $6M for concourse makeover". Colorado Springs Gazette. Retrieved 2023-03-08.
  13. ^ Heilman, Wayne. "Terminal addition, new control tower planned for Colorado Springs Airport". Colorado Springs Gazette. Retrieved 2022-03-26.
  14. ^ "COS airport data at skyvector.com". skyvector.com. FAA data effective May 15, 2025.
  15. ^ "Airfield Information". Colorado Springs. 2015-10-09. Retrieved 2022-06-17.
  16. ^ https://www.koaa.com/news/covering-colorado/colorado-springs-airport-going-international-first-flight-departs-in-june
  17. ^ "Ground Transportation". Colorado Springs. 2015-10-13. Retrieved 2022-01-04.
  18. ^ "Rental Cars". Colorado Springs. 2018-05-21. Retrieved 2022-01-04.
  19. ^ a b c "Allegiant Ties Record for Largest Expansion in Company History with 44 New Nonstop Routes, plus 3 New Cities". Allegiant Air (Press release). November 19, 2024. Retrieved November 19, 2024 – via PR Newswire.
  20. ^ "Flight schedules and notifications". Archived from the original on February 24, 2011. Retrieved March 23, 2018.
  21. ^ a b "Flight schedules and notifications". Archived from the original on February 2, 2017. Retrieved 7 January 2017.
  22. ^ "American Airlines to Restore Service to Chicago from Colorado Springs". Aviation Pros. 2024-12-10. Retrieved 2024-12-10.
  23. ^ "Delta Air Lines offers new nonstop flight out of Colorado Springs Airport".
  24. ^ "Delta Air Lines to bring back nonstop service to ATL from COS in 2023". Fox 21 News. September 19, 2022. Retrieved September 19, 2022.
  25. ^ "FLIGHT SCHEDULES". Archived from the original on June 21, 2015. Retrieved 7 January 2017.
  26. ^ "Colorado Springs Airport lands first international route". The Denver Gazette. October 30, 2024. Retrieved November 1, 2024.
  27. ^ "Colorado Springs Airport lands first international route". Retrieved October 30, 2024.
  28. ^ "Timetable". Archived from the original on January 28, 2017. Retrieved 7 January 2017.
  29. ^ "COS Airport Annual Passengers 2017-Present". coloradosprings.gov. Retrieved March 10, 2025.
  30. ^ "RITA BTS Transtats - COS". www.transtats.bts.gov. December 2021. Retrieved 29 August 2024.
  31. ^ "Colorado Springs, CO: Colorado Springs Airport (COS)". Bureau of Transportation Statistics. Retrieved 29 August 2024.
  32. ^ Accident description for N100BE at the Aviation Safety Network. Retrieved on October 20, 2020.
  33. ^ "Colorado Springs Airport cancels commercial flights after rooftop fire". Denver Post. April 17, 2018.
  34. ^ "Accident description for N354EF at Aviation Safety Network". aviationsafetynetwork.org. Retrieved December 17, 2024.