Hecphora

Hecphora
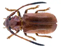
Hecphora testator
Scientific classification
Kingdom:
Phylum:
Class:
Order:
Family:
Subfamily:
Genus:
Hecphora

Hecphora is a genus of longhorn beetles of the subfamily Lamiinae.[1]

References

  1. ^ Biolib.cz - Hecphora. Retrieved on 8 September 2014.