Leptopodidae

Leptopodidae
Temporal range:
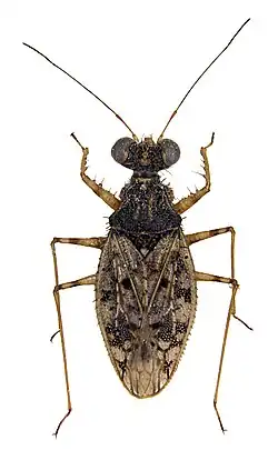
Leptopus marmoratus
Scientific classification Edit this classification
Kingdom: Animalia
Phylum: Arthropoda
Class: Insecta
Order: Hemiptera
Suborder: Heteroptera
Infraorder: Leptopodomorpha
Family:
Brullé, 1836

Leptopodidae is a family of spiny-legged bugs in the order Hemiptera. There are about 15 genera and more than 40 described species in Leptopodidae.[1][2][3]

Genera

These 17 genera belong to the family Leptopodidae:[4]

  • Erianotoides J.Polhemus & D.Polhemus, 1991
  • Erianotus Fieber, 1861
  • Lahima Linnavuori & Van Harten, 2002-22
  • Leotichius Distant, 1904
  • Leptopoides J.Polhemus & D.Polhemus, 1991-01
  • Leptopus Latreille, 1809
  • Martiniola Horváth, 1911
  • Patapius Horváth, 1912
  • Saldolepta Schuh & J.Polhemus, 1980
  • Valleriola Distant, 1904
  • Archaesalepta Grimaldi & Engel, 2013 Cambay amber, India, Eocene
  • Cretaceomira McKellar & Engel, 2014 Canadian amber, Campanian
  • Cretaleptus Sun and Chen 2020 Burmese amber, Myanmar, Cenomanian
  • Leptosalda Cobben, 1971 Dominican amber, Mexican amber, Miocene
  • Macrolepta Yu, Zhuo & Chen, 2023 Burmese amber, Myanmar, Cenomanian
  • Palaeoleptus Poinar 2009 Burmese amber, Myanmar, Cenomanian
  • Palaeotanyrhina Poinar, Brown & Kóbor 2009 Burmese amber, Myanmar, Cenomanian

References

  1. ^ "Leptopodidae Report". Integrated Taxonomic Information System. Retrieved 2019-06-14.
  2. ^ "Leptopodidae". GBIF. Retrieved 2019-06-14.
  3. ^ Rédei, Dávid (2024-11-01). "A re-assessment of Palaeotanyrhina (Hemiptera: Heteroptera) elucidates the phylogeny of Leptopodoidea". Insect Systematics and Diversity. 8 (6): 5. doi:10.1093/isd/ixae030. ISSN 2399-3421.

Further reading

  • Schuh, Randall T.; Galil, Bella; Polhemus, John T. (1987). "Catalog and bibliography of Leptopodomorpha (Heteroptera)". Bulletin of the American Museum of Natural History. 185: 243–406. hdl:2246/970.
  • Aukema, Berend; Rieger, Christian, eds. (1995). Catalogue of the Heteroptera of the Palaearctic Region, Vol. 1: Enicocephalomorpha, Dipsocoromorpha, Nepomorpha, Gerromorpha and Leptopodomorpha. The Netherlands Entomological Society. ISBN 978-90-71912-12-2.
  • Bantock, T.; Botting, J. (2013). "British Bugs, an online identification guide to UK Hemiptera". Retrieved 2019-07-02.