Spilostethus hospes

Spilostethus hospes
Spilostethus hospes, Darth Maul Bug
Scientific classification Edit this classification
Kingdom: Animalia
Phylum: Arthropoda
Class: Insecta
Order: Hemiptera
Suborder: Heteroptera
Family: Lygaeidae
Subfamily: Lygaeinae
Genus: Spilostethus
Species:
S. hospes
Binomial name
Spilostethus hospes
(Fabricius, 1794)

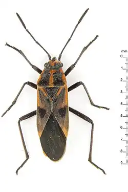
The Darth Maul bug (Spilostethus hospes), is a species of seed bug found in Asia, Australasia, and Oceania.[1][2] Its common name is a reference to the Star Wars character Darth Maul, who shares similar markings. It is sometimes referred to as the Milkweed Bug in Australia because it feeds on Milkweed plants,[3] however the Large Milkweed bug refers to a different species - Oncopelltus fasciatus. The two bugs both fall under the family of Lygaeidae and exhibit similar markings and behaviours. Large Milkweed bugs however, are found in North America, unlike the Darth Maul Bug.[4] The distribution of the two bugs, and respective differing taxonomies suggest they are different species.

Taxonomy

The Darth Maul Bug falls under the order of Hemiptera – ‘true bugs’. They are unique amongst insects in having their mouthparts formed into a piercing beak or 'rostrum', used to suck juices from plants or other animals.[5] The bug falls under the family Lygaeidae, which are distinguished by their oval or elongate shape, and impunctate bodies.[6] All bugs in this family are either dark brown or brightly coloured, and like many others of the subfamily Lygaeinae, Darth Maul Bugs have distinct red/orange markings, as well as four segmented antennae.[7] The bugs' genus Spilostethus is derived from the Greek words ‘spilos’ meaning spot or stain[8] and 'stethos' meaning chest.[9] Thus, spilostethus roughly translates to spotted chest, describing the patterned thorax region of bugs that fall under this genus. Finally, the species name ‘hospes’ derives from the latin word for guest.[10] In the case of Spilostethus hospes, this refers to the species feeding off a plant, making themselves a 'guest' on their host plant.

Ecology

Caustic Vine Plant found in Sturt National Park. A common feeding place of Darth Maul Bugs

The Darth Maul Bug feeds on a series of plant organs including leaves, stems, fruits and seeds.[11] In Australia, they are often observed feeding on Red-headed Cotton Bush (Asclepias currasavica), Caustic Vine (Sarcostemma viminale) and Swan Plant (Asclepias fruiticosa and Asclepias physocarpa).[12] An image of a Caustic Vine plant located within the Sturt National Park can be seen to the right hand side of the page.

By feeding on the host plant, the Darth Maul Bug causes a decline in the vitality and productivity of the plant. This can lead to stunted growth, wilting and potential reduction of yield of the host plant. Darth Maul Bugs can communicate with others of its kind using vibrations conducted through plant stems and leaves, a behaviour not evident to the naked eye.[7]

To date, only one population of Spilostethus hospes has been identified to carry a male-killing endosymbiotic bacterium.[13] This bacteria has been shown to only kill males in this population, which may be one of the reasons that show a higher frequency of females.

Darth Maul Bug

Description

The Darth Maul Bug exhibits a red and black patterns on their back - a warning to the would-be predators that they are toxic.[14] The patterns can vary quite a bit in different individuals. The bug is between 11 and 13mm long at full maturity.[14]

Lifecycle

Darth maul bugs go through simple metamorphosis. Their life process has three stages:

Egg: The eggs of the Darth Maul Bug are laid in distinctly shaped clusters that camouflage with the environment. These eggs serve as the protective encasing for the developing insect.[7]

Nymph: Upon hatching, young Darth Maul Bug is called a nymph. It resembles a miniature adult, but lacking in developed wings and functional reproductive organs.[7]

Adult: The nymph grows into a fully grown adult bug. This change is made evident by the bugs shell being harder and more colorful, thus signaling maturity and readiness for reproduction.[7]

Different nymphal stages can be observed on a host plant during summer.[12]

Habitat and Distribution

Darth Maul Bug Global Distribution as defined by iNaturalist observations

The distribution of the Darth Maul Bug can be seen in the map to the right, based data from iNaturalist.[15] It usually is found in similar climates to tropical rain forests, and is often seen feeding on plants in a range of habitats from forests and fields, to open plains and shrub-lands.[16] The conservation status of the species is unknown.[15]

References

  1. ^ "Spilostethus hospes". GBIF. Retrieved 2021-10-06.
  2. ^ Dellapé, Pablo M.; Henry, Thomas J. (2021). "species Spilostethus hospes (Fabricius, 1794)". Lygaeoidea Species File. Retrieved 2021-10-05.
  3. ^ "Spilostethus hospes (Fabricius, 1794)". www.agric.wa.gov.au. Retrieved 2024-06-10.
  4. ^ "Large Milkweed Bug (Oncopeltus fasciatus)". iNaturalist Australia. Retrieved 2024-06-10.
  5. ^ "Hemiptera - bugs, aphids, cicadas". www.ento.csiro.au. Retrieved 2024-06-10.
  6. ^ Burdfield-Steel, Emily R.; Shuker, David M. (June 2014). "The evolutionary ecology of the L ygaeidae". Ecology and Evolution. 4 (11): 2278–2301. Bibcode:2014EcoEv...4.2278B. doi:10.1002/ece3.1093. ISSN 2045-7758. PMC 4201440. PMID 25360267.
  7. ^ a b c d e "Darth maul bug (Spilostethus hospes)". Picture Insect. Retrieved 2024-06-10.
  8. ^ "σπίλος". billmounce.com. Retrieved 2024-06-10.
  9. ^ "στῆθος". billmounce.com. Retrieved 2024-06-10.
  10. ^ "Latin Definition for: hospes, hospitis (ID: 22344) - Latin Dictionary and Grammar Resources - Latdict". latin-dictionary.net. Retrieved 2024-06-10.
  11. ^ "Darth Maul Bug (Spilostethus hospes)". Bali Wildlife. Retrieved 2024-06-10.
  12. ^ a b "Darth Maul Bug - Spilostethus hospes". www.brisbaneinsects.com. Retrieved 2024-06-10.
  13. ^ Burdfield-Steel, Emily R.; Shuker, David M. (2014). "The evolutionary ecology of the Lygaeidae". Ecology and Evolution. 4 (11): 2278–2301. Bibcode:2014EcoEv...4.2278B. doi:10.1002/ece3.1093. PMC 4201440. PMID 25360267.
  14. ^ a b Commonwealth scientific and industrial research organization, ed. (1991). The insects of Australia: a textbook for students and research workers (2nd ed.). Carlton, Victoria: CSIRO. ISBN 978-0-522-84454-2.
  15. ^ a b "Darth Maul Bug (Spilostethus hospes)". iNaturalist Australia. Retrieved 2024-06-15.
  16. ^ "Spilostethus hospes - Wildlife Natural". www.wildlifenatural.com. Retrieved 2024-06-15.